Local Service Overview

Get Ants Extermination Service in Collin County, TX

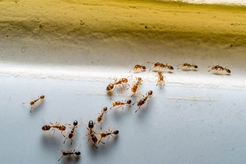
Ants extermination services for property owners in Collin County, TX, and nearby areas address ant infestations, including residential and commercial pest removal and prevention projects.

Collin County, TX

Ants extermination services provide property owners in Collin County, TX with effective solutions to manage and eliminate ant infestations. Addressing these pests helps maintain a comfortable living or working environment by preventing the nuisance and potential damage caused by ants. Proper extermination can also improve the functionality of outdoor spaces and structures, ensuring they remain durable and free from pest-related deterioration.

Choosing professional ant control services offers benefits such as reduced maintenance needs and enhanced curb appeal. Eliminating ant colonies can prevent future invasions, saving property owners time and effort. Additionally, a pest-free property presents a cleaner, more attractive appearance, contributing to overall property value and peace of mind.

Get Ants Extermination Service Quotes

  • Ants Extermination - needed when ants invade homes or businesses in Collin County, TX and surrounding areas.
  • Ants Extermination - required when persistent ant colonies threaten to spread within residential properties.
  • Ants Extermination - sought after when outdoor ant mounds pose a risk to lawns and garden areas nearby.
  • Ants Extermination - necessary when ant trails are found inside commercial spaces in nearby cities.
  • Ants Extermination - essential when ant activity increases during warmer months in neighborhoods across the region.

Get Ants Extermination Service Quotes

Ants Extermination Service
Ants Extermination Service
Ants Extermination Service

Ants extermination services involve professional treatment methods aimed at eliminating ant infestations from residential, commercial, or industrial properties. Service providers typically conduct a thorough inspection to identify the species of ants, the extent of the infestation, and potential entry points. Treatments may include the application of targeted insecticides, baiting systems, and barrier methods to prevent future invasions. The goal is to reduce or eradicate ant populations effectively, helping property owners regain control over their spaces and prevent damage caused by large colonies.

Ant problems can lead to various issues, including property damage, contamination of food supplies, and general nuisance. Certain ant species, such as carpenter ants, are known to cause structural damage by hollowing out wood, while others like fire ants can pose health risks through painful stings. An infestation can also attract other pests or create unsanitary conditions, especially in kitchens or food storage areas. Professional extermination services address these concerns by targeting the source of the problem and implementing long-term solutions to keep properties ant-free.

Properties that commonly utilize ants extermination services include homes, apartment complexes, restaurants, grocery stores, and warehouses. Residential properties often seek treatment to protect food supplies and prevent structural damage, especially in areas with visible ant activity. Commercial properties, particularly those involved in food handling or storage, require regular pest management to meet health standards and maintain hygiene. Additionally, businesses with outdoor spaces or landscaped areas may request services to manage ant populations and prevent them from entering indoor spaces.

Professional ant extermination services are suitable for a wide range of property types across areas like Collin County, TX, and neighboring regions. Whether addressing a sudden invasion or implementing ongoing pest management plans, property owners rely on local service providers to handle the problem efficiently. These services help create a pest-free environment, reducing the risk of property damage and health concerns associated with ant infestations. Contacting local pest control professionals can provide tailored solutions to meet the specific needs of each property.

The overview below groups typical Ants Extermination Service projects into broad ranges so you can see how smaller, mid-sized, and larger jobs often compare in Collin County, TX.

In many markets, a large share of routine jobs stays in the lower and middle ranges, while only a smaller percentage of projects moves into the highest bands when the work is more complex or site conditions are harder than average.

Initial Treatment Cost - The cost for a single ant extermination treatment typically ranges from $100 to $300, depending on the size of the property and the severity of the infestation. For example, a small home may be closer to $100, while larger properties could approach $300.

Monthly Service Plans - Ongoing monthly ant control services generally cost between $50 and $150 per month. This range varies based on the level of treatment and property size, with some plans including regular inspections and treatments.

Per-Visit Fees - Some service providers charge per visit, with prices often falling between $75 and $200. The exact fee depends on the scope of work needed during each visit and the extent of ant activity.

Bulk or Multiple-Unit Pricing - For multiple treatments or larger properties, costs can be negotiated or may range from $200 to $600 for comprehensive extermination packages. These prices reflect the complexity and size of the property involved.

Actual totals will depend on details like access to the work area, the scope of the project, and the materials selected, so use these as general starting points rather than exact figures.

Get an Ants Extermination Service Quote

Ants Extermination services involve professionals specializing in identifying and eliminating ant colonies within residential and commercial properties in Collin County, TX. They use targeted treatments to effectively remove ants and prevent future infestations.

Ants Control solutions include inspecting properties to locate ant entry points and nesting sites, then applying appropriate methods to eradicate the pests. Local service providers focus on safe and efficient removal techniques.

Ants Removal experts provide tailored approaches to eliminate different ant species, ensuring minimal disruption to the property. They offer ongoing monitoring to maintain ant-free environments.

Ants Pest Management involves integrated strategies that combine chemical treatments and exclusion methods to control ant populations. Service providers customize plans based on the specific ant species and infestation severity.

Ants Infestation Treatment services address severe ant problems through comprehensive treatment plans designed to target nests and prevent recurrence. Local pros prioritize effective solutions for long-term results.

Ants Prevention Services focus on identifying potential entry points and implementing barriers to keep ants from re-establishing colonies. Professionals offer advice on property modifications to reduce future risks.

Ants Extermination Service

When choosing a professional for ant extermination services, experience can play a significant role in ensuring effective pest management. Local pros often have a deep understanding of the common ant species in Collin County, TX, and nearby areas, as well as the most effective treatment methods suited to the local environment. It is beneficial to review the background of potential service providers to gauge their familiarity with ant control, including how long they have been operating in the area and their general scope of experience with similar pest issues.

Clear communication and written expectations are essential when working with a pest control provider. Reputable local pros typically provide detailed service descriptions and written estimates that outline the scope of work, methods used, and any preparations needed before treatment. This transparency helps homeowners understand what to expect and ensures there are no surprises once the service is completed. Open channels of communication also facilitate addressing any questions or concerns throughout the process, leading to a smoother experience.

References and reputation are valuable indicators of a service provider’s reliability and quality of work. Homeowners can seek out local pros with positive references from previous clients or reviews that highlight consistent, satisfactory service. Reputable providers often have established relationships within the community, and their track record can provide confidence in their ability to handle ant extermination effectively. Since the site introduces local options rather than acting as the contractor, it is recommended to contact multiple providers to compare their experience, communication approach, and reputation before making a selection.

Get an Ants Extermination Service Quote

Property owners in Collin County, TX use Ants Extermination Service services for practical projects around their homes and businesses. The sections below highlight everyday jobs and straightforward project options.

Ants Extermination Service
Ants Extermination Service

Ants extermination services are often sought by property owners in Collin County, TX, facing ongoing ant activity or unexpected infestations. Common situations include noticing ant trails around kitchens, bathrooms, or other areas where food is stored, or discovering large colonies nesting outdoors near foundations. Property owners may also seek professional assistance when DIY methods fail to control persistent ant problems or when they want to prevent future invasions that could compromise hygiene or comfort.

In addition to visible ant presence, property owners might pursue extermination services to address structural concerns, such as ants damaging wood or other materials, or to eliminate potential entry points that ants use to access indoor spaces. These services are also considered when preparing for special events or seasonal changes, as ant activity can increase during certain times of the year. Connecting with local pest control providers can help address these everyday project situations efficiently.

Get an Ants Extermination Service Quote

How do ant extermination services work? Ant extermination services typically involve inspecting the property, identifying ant species and entry points, and applying targeted treatments to eliminate colonies and prevent future infestations.

Are ant extermination treatments safe for pets and children? Most professional ant treatments are designed to be safe when applied properly; however, it is recommended to discuss safety concerns with the service provider before treatment.

How long does an ant extermination treatment last? The duration of effectiveness can vary depending on the treatment method and extent of the infestation, with many treatments providing protection for several months.

Will I need multiple treatments to eliminate ants? Some ant infestations may require more than one treatment, especially if the colony is large or difficult to access; a local service provider can advise on the best approach.

How can I prevent future ant problems? Preventative measures include maintaining cleanliness, sealing entry points, and consulting with a pest control professional for ongoing prevention strategies.

Ants Inspection and Identification - Local pest control providers can assess your property to identify ant species and determine the extent of the infestation.

Ants Treatment Solutions - Professionals offer targeted treatments to eliminate ants and prevent future invasions in residential and commercial properties.

Preventive Ant Control Strategies - Service providers can implement barrier methods and advice to reduce the likelihood of ant re-entry.

Ongoing Monitoring and Maintenance - Local experts can establish regular inspections to ensure ant problems remain under control over time.

Ants Extermination Service

Considering Ants Extermination Service for a property in Collin County, TX? The sections above highlight common project types, practical options, and details that often shape the scope of work.

When you are ready, use the quote form to share a few details about your project. Local pros can review the basics and respond with options that match what you have in mind.

Get an Ants Extermination Service Quote

Ants Extermination Quotes

Our Trusted Partners
Cantu Pest Control
Orkin
Hawx Pest Control
Mosquito Shield