Local Service Overview

Get Black Ant Extermination in Lake Dallas, TX

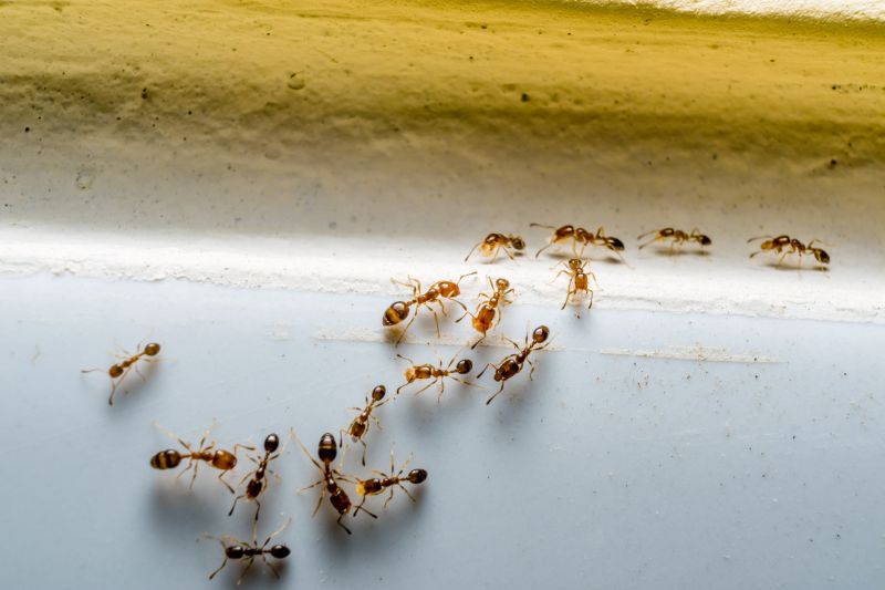
Black Ant Extermination services in Lake Dallas, TX and nearby areas address ant infestations, prevent property damage, and handle residential or commercial ant control projects.

Lake Dallas, TX

Black ant extermination services are essential for property owners in Lake Dallas, TX seeking to maintain a comfortable and safe living environment. These services help prevent ant invasions that can disrupt daily activities, damage structures, or contaminate food supplies. By addressing ant problems promptly, property owners can enjoy a more functional space with reduced concerns about pests, allowing for peace of mind and a more inviting home or business exterior.

Engaging professional extermination providers offers benefits such as enhanced durability of property features and improved curb appeal. Regular and effective treatment can reduce the likelihood of recurring infestations, leading to less ongoing maintenance and repairs. This proactive approach supports long-term property value and ensures that outdoor areas remain attractive and welcoming for residents and visitors alike.

Get Black Ant Extermination Quotes

  • Ant Extermination - needed when black ants invade kitchens, bathrooms, or outdoor spaces around Lake Dallas, TX.
  • Outdoor Ant Control - required to prevent black ant colonies from establishing in lawns or garden beds nearby Dallas and surrounding areas.
  • Indoor Ant Removal - necessary when black ants are seen inside homes or commercial buildings in the nearby regions.
  • Barrier Treatments - used to create a protective zone around properties in the Dallas-Fort Worth metroplex to deter ant entry.
  • Infestation Cleanup - needed after a large black ant colony has been eradicated to ensure complete removal and prevent re-infestation in Lake Dallas and neighboring communities.

Get Black Ant Extermination Quotes

Black Ant Extermination
Black Ant Extermination
Black Ant Extermination

Black ant extermination services focus on identifying and eliminating ant infestations that can invade residential and commercial properties. These services typically involve thorough inspections to locate ant colonies and entry points, followed by targeted treatments using specialized products. Exterminators may employ baiting systems, liquid insecticides, or dust formulations to effectively reduce or eradicate ant populations. The goal is to control the infestation while minimizing disruption to the property and its occupants.

Ant problems can cause significant nuisance and discomfort, especially when large colonies establish themselves indoors or around structures. In addition to the inconvenience, certain ant species can pose health risks or cause property damage. For example, fire ants can deliver painful stings, while carpenter ants may compromise the structural integrity of wood elements. Black ant extermination services help resolve these issues by removing the source of the infestation and preventing future outbreaks.

Various types of properties utilize black ant extermination services, including single-family homes, apartment complexes, and commercial buildings. Residential properties often seek treatment to protect kitchens, gardens, and outdoor living spaces from ant invasions. Commercial properties, such as restaurants and retail stores, require pest control measures to maintain hygiene standards and comply with health regulations. Additionally, property managers and landlords frequently contact pest control providers to address ant issues across multiple units or premises.

Professional extermination services are designed to deliver a comprehensive approach to ant control, addressing both current infestations and preventing new ones. Local service providers assess the severity of the problem and recommend appropriate treatment plans tailored to each property’s needs. Regular inspections and follow-up treatments can be part of a pest management strategy to keep ant populations in check over time. Contacting experienced pest control providers can help property owners effectively manage ant issues and maintain a pest-free environment.

The overview below groups typical Black Ant Extermination projects into broad ranges so you can see how smaller, mid-sized, and larger jobs often compare in Lake Dallas, TX.

In many markets, a large share of routine jobs stays in the lower and middle ranges, while only a smaller percentage of projects moves into the highest bands when the work is more complex or site conditions are harder than average.

Initial Inspection - The cost for a black ant extermination inspection typically ranges from $50 to $150, depending on property size and complexity. Larger or more infested properties may incur higher fees for thorough assessments.

Treatment Services - Treatment costs generally fall between $100 and $300 per service, with prices varying based on the extent of the infestation and treatment methods used. Multiple treatments may be necessary for complete eradication.

Ongoing Prevention - Ongoing prevention plans can cost between $50 and $200 per month, depending on the level of service and property needs. These plans often include regular inspections and preventative treatments.

Additional Charges - Additional costs may apply for specialized treatments or if extensive property modifications are required, typically adding $50 to $200 to the initial service fee. Prices vary by local service providers and property specifics.

Actual totals will depend on details like access to the work area, the scope of the project, and the materials selected, so use these as general starting points rather than exact figures.

Get a Black Ant Extermination Quote

Black Ant Extermination services are essential for property owners dealing with infestations of black ants in residential and commercial spaces. Local pros specializing in ant control can assess the extent of the problem and implement targeted removal strategies.

Black Ant Extermination projects often involve identifying nesting sites and applying appropriate treatment methods to eliminate colonies effectively. Professionals can help ensure the pests are controlled and do not return.

Black Ant Extermination services are commonly requested in areas experiencing increased ant activity during warmer months. Local contractors can provide tailored solutions to address specific property needs.

Black Ant Extermination projects may include the use of baiting systems and residual treatments to reduce ant populations around structures. Experts can advise on the most effective approaches for each situation.

Black Ant Extermination efforts are important for maintaining a pest-free environment, especially in kitchens, basements, and outdoor areas. Local service providers can deliver prompt and effective solutions.

Black Ant Extermination services are suitable for both preventative measures and active infestations. Contacting experienced local pros can help achieve long-term control and peace of mind.

Black Ant Extermination

When selecting a professional for black ant extermination services, it is important to consider their experience in handling ant infestations similar to your situation. Homeowners should inquire about the duration of the contractor’s work in pest control, as well as their familiarity with black ant behaviors and effective treatment methods. Reputable providers often have a history of successfully managing ant problems in residential settings, which can be a helpful indicator of their expertise.

Clear communication and well-defined expectations are essential when working with pest control professionals. Homeowners should seek providers who offer detailed explanations of the treatment process, including what to expect during and after service. Establishing written expectations can help ensure that both parties are aligned on the scope of work, any necessary preparations, and follow-up procedures, reducing misunderstandings and enhancing satisfaction.

Reputable references and a solid reputation within the local community can serve as valuable resources when choosing a pest control provider. Homeowners are encouraged to ask for references or reviews from previous clients to gauge the quality of service and professionalism. Effective communication, responsiveness, and transparency are qualities that often distinguish reputable local pros from less experienced providers, helping homeowners find a trusted partner for their black ant extermination needs.

Get a Black Ant Extermination Quote

Property owners in Lake Dallas, TX use Black Ant Extermination services for practical projects around their homes and businesses. The sections below highlight everyday jobs and straightforward project options.

Black Ant Extermination
Black Ant Extermination

Black ant extermination services are often sought by property owners in Lake Dallas, TX when ants become a persistent nuisance around homes and businesses. Common situations include discovering large ant colonies in kitchens, around foundations, or in outdoor areas, which can lead to concerns about food contamination and property damage. Local service providers are available to assess the extent of the infestation and implement targeted treatments to eliminate the ants and prevent future issues.

Property owners may also look for black ant extermination when new ant activity appears unexpectedly or after attempts at DIY methods fail to control the problem. In some cases, ant colonies may be hidden beneath the surface or inside walls, making professional intervention necessary for effective removal. Local pros can provide tailored solutions to address these everyday project situations, helping to restore comfort and prevent ongoing ant-related concerns.

Get a Black Ant Extermination Quote

What are signs of a black ant infestation? Common signs include visible black ants inside the home, trails leading to entry points, and small piles of debris or dirt near walls and foundations.

What methods do extermination professionals use to eliminate black ants? Local service providers typically use targeted treatments such as baiting, insecticide applications, and barrier methods to control black ant populations.

Are black ants harmful to my home or health? While black ants generally do not pose health risks, they can contaminate food and cause minor structural damage if their colonies grow large.

How can I prevent black ants from returning after treatment? Professionals often recommend sealing entry points, removing food sources, and maintaining cleanliness to reduce the likelihood of future infestations.

How long does black ant extermination typically take? The duration varies depending on the severity of the infestation and chosen treatment methods; local pros can provide specific timelines during contact.

Black Ant Extermination Methods - Local service providers offer various techniques to effectively eliminate black ants from residential and commercial properties.

Preventive Black Ant Control - Professionals can implement preventive measures to reduce the likelihood of future ant infestations.

Black Ant Inspection Services - Expert inspections help identify ant entry points and nesting areas to develop targeted treatment plans.

Black Ant Removal Solutions - Service providers utilize proven removal methods to address existing ant problems and restore property comfort.

Black Ant Extermination

Considering Black Ant Extermination for a property in Lake Dallas, TX? The sections above highlight common project types, practical options, and details that often shape the scope of work.

When you are ready, use the quote form to share a few details about your project. Local pros can review the basics and respond with options that match what you have in mind.

Get a Black Ant Extermination Quote

Black Ant Extermination Quotes

Our Trusted Partners
Cantu Pest Control
Orkin
Hawx Pest Control
Mosquito Shield