Local Service Overview

Get Ants Extermination Service in Van Alstyne, TX

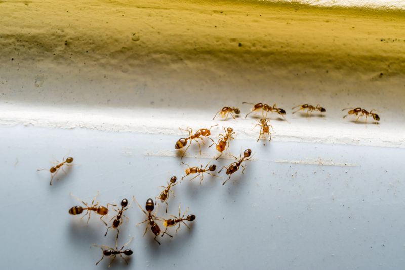
Ants extermination services for property owners in Van Alstyne, TX and nearby areas address ant infestations, prevent future outbreaks, and handle residential and commercial pest control projects.

Van Alstyne, TX

Ants extermination services in Van Alstyne, TX offer property owners effective solutions to manage and prevent ant infestations. Addressing these pests helps maintain a clean and comfortable living or working environment by reducing the presence of unwanted insects. Proper extermination can also protect structural elements from potential damage caused by ant activity, ensuring the durability and integrity of the property over time.

Choosing professional ant control services provides benefits such as enhanced safety by minimizing the need for DIY chemicals, which can sometimes be hazardous if misused. Additionally, effective extermination contributes to improved curb appeal by keeping exteriors free of ant trails and nests, helping properties look well-maintained and inviting. These services support ongoing functionality and reduce the likelihood of recurring problems, offering property owners peace of mind and a more enjoyable space.

Get Ants Extermination Service Quotes

  • Ants Extermination Services

  • Ant Infestation Removal - needed when ants invade homes or commercial properties in Van Alstyne, TX and surrounding areas.
  • Kitchen and Pantry Ant Control - required when ants are found in food storage areas or along countertops.
  • Outdoor Ant Barrier Treatments - suitable for preventing ant colonies from establishing around yards and gardens.
  • Carpenter Ant Extermination - necessary when wood structures show signs of ant activity or damage.
  • Ant Nest Elimination - essential when large ant colonies are located beneath or within building foundations.

Get Ants Extermination Service Quotes

Ants Extermination Service
Ants Extermination Service
Ants Extermination Service

Ants extermination services involve the identification and elimination of ant colonies that invade residential, commercial, or industrial properties. These services typically include thorough inspections to locate ant nests and entry points, followed by the application of targeted treatments to eradicate the pests. The goal is to remove existing ant populations and prevent future infestations through strategic use of baits, barriers, and residual insecticides. Professional exterminators often tailor their approach based on the specific ant species and the severity of the infestation to ensure effective results.

Ant infestations can cause a variety of problems for property owners. In addition to the nuisance of constant ant activity indoors or outdoors, certain species may contaminate food supplies or damage structures by nesting in wood or other materials. Some ants, such as fire ants, pose health risks through painful stings that can lead to allergic reactions. Addressing these issues promptly through professional extermination services helps minimize property damage, reduce health risks, and restore a safe, clean environment.

Property types that frequently utilize ants extermination services include single-family homes, apartment complexes, restaurants, and retail stores. Residential properties often seek treatment to eliminate ants from kitchens, bathrooms, and gardens, especially when infestations become persistent. Commercial establishments, particularly those involved in food service or retail, rely on pest control providers to maintain hygienic conditions and comply with health regulations. Additionally, agricultural or storage facilities may require specialized treatments to protect crops or stored goods from ant-related damage.

Professional ants extermination services offer a comprehensive approach to managing ant problems, combining inspection, treatment, and prevention strategies. Service providers use a variety of methods designed to target different ant species and infestation levels, ensuring that pests are effectively controlled. Regular maintenance or follow-up treatments may be recommended to sustain a pest-free environment. Contacting local pest control experts can help property owners address ant issues efficiently and maintain a comfortable, pest-free space.

The overview below groups typical Ants Extermination Service projects into broad ranges so you can see how smaller, mid-sized, and larger jobs often compare in Van Alstyne, TX.

In many markets, a large share of routine jobs stays in the lower and middle ranges, while only a smaller percentage of projects moves into the highest bands when the work is more complex or site conditions are harder than average.

Initial Inspection - Cost for an initial ant inspection typically ranges from $50 to $150, depending on property size and complexity. This fee covers identifying ant species and infestation areas for local service providers.

Basic Treatment - A standard ant extermination treatment usually costs between $100 and $300. Examples include applying bait stations or residual sprays to affected areas.

Comprehensive Service - Full-scale extermination services for larger infestations can range from $200 to $600. These often involve multiple treatments and detailed pest management plans.

Follow-up Visits - Follow-up or preventive treatments generally cost between $75 and $200 per visit. Local pros may recommend scheduled visits to ensure ant control over time.

Actual totals will depend on details like access to the work area, the scope of the project, and the materials selected, so use these as general starting points rather than exact figures.

Get an Ants Extermination Service Quote

Ants Extermination services are essential for addressing ant infestations in residential and commercial properties. Local pros provide targeted treatments to eliminate ants and prevent future invasions.

Ants Control solutions involve identifying ant entry points and implementing effective barrier methods. Professionals tailor their approaches to suit specific ant species and property types.

Ants Removal services focus on safely removing ant colonies from indoor and outdoor spaces. Experienced providers use proven techniques to ensure thorough eradication.

Ants Pest Management includes integrated strategies to manage ant populations over the long term. Service providers offer ongoing monitoring and preventive treatments.

Ants Inspection involves assessing property conditions to locate ant nests and entry points. Inspections help determine the most effective extermination plan.

Ants Prevention services aim to reduce the risk of future ant problems through sealing entry points and habitat modification. Local pros offer customized prevention recommendations.

Ants Extermination Service

When comparing ant extermination services provided by local professionals, experience is an important factor to consider. Homeowners should look for service providers with a proven track record in handling ant infestations similar to their own. Established local pros often have extensive knowledge of common ant species in the Van Alstyne, TX area and surrounding communities, which can contribute to more effective treatment strategies. Gathering information about how long a contractor has been operating and their familiarity with local pest challenges can help in assessing their level of expertise.

Clear communication and setting written expectations are essential when selecting a pest control provider. Reputable local pros typically provide detailed descriptions of their services, including the methods they use and what homeowners can expect during and after treatment. Transparent information helps homeowners understand the scope of work and any necessary follow-up actions, reducing misunderstandings. Ensuring that the service provider is responsive to questions and provides thorough explanations can contribute to a smoother experience.

Reputable references and reviews from previous clients serve as valuable indicators of a local pest control professional’s reliability. Homeowners should seek out service providers with positive feedback from neighbors or community members who have experienced their ant extermination services. Additionally, effective communication, including timely responses and clarity in discussing service options, can make the process more straightforward. Since the site introduces local options rather than performing the work directly, it’s important to contact and evaluate individual contractors based on their reputation, experience, and communication style before making a decision.

Get an Ants Extermination Service Quote

Property owners in Van Alstyne, TX use Ants Extermination Service services for practical projects around their homes and businesses. The sections below highlight everyday jobs and straightforward project options.

Ants Extermination Service
Ants Extermination Service

Ants extermination services are often sought by property owners in Van Alstyne, TX, when ants become a persistent nuisance inside or around a home or business. Common situations include noticing ant trails in kitchens, bathrooms, or near entry points, which can indicate an active infestation. Property owners may also seek professional assistance after attempting DIY methods that fail to eliminate the problem, especially if ants continue to invade food areas or nest in hidden spots.

In addition to indoor infestations, exterior ant issues can prompt property owners to look for extermination services. Ants building nests in yard debris, around foundations, or near outdoor structures can lead to increased activity that threatens to spread indoors. Local service providers can assess the situation and implement targeted solutions to prevent further intrusion, helping to maintain a pest-free environment in residential and commercial properties.

Get an Ants Extermination Service Quote

How do ant extermination services work? Ant extermination services typically involve inspecting the property, identifying ant species and entry points, and applying targeted treatments to eliminate nests and prevent future infestations.

Are the treatments safe for pets and children? Most professional ant treatments are designed to be safe when applied by experienced service providers, but it is recommended to follow any specific safety instructions provided by the local contractor.

How long does an ant extermination treatment last? The duration of effectiveness varies depending on the treatment method and the extent of the infestation, with many treatments providing protection for several months.

Can ant extermination services prevent future infestations? Yes, local pros often include recommendations and preventative measures to help reduce the likelihood of ants returning to the property.

How do I prepare my home before an ant extermination service? Preparation typically involves clearing food and water sources, sealing entry points, and following any specific instructions provided by the service provider to ensure effective treatment.

Ants Identification and Prevention - Local pest control providers can assess ant activity and recommend preventative measures to reduce future infestations.

Ant Extermination Treatments - Pros offer various treatment options tailored to eliminate ants from residential and commercial properties.

Ongoing Ant Control Plans - Regular inspection and treatment services help maintain ant-free environments over time.

Infestation Inspection Services - Professionals can identify ant entry points and nesting sites to develop effective eradication strategies.

Ants Extermination Service

Considering Ants Extermination Service for a property in Van Alstyne, TX? The sections above highlight common project types, practical options, and details that often shape the scope of work.

When you are ready, use the quote form to share a few details about your project. Local pros can review the basics and respond with options that match what you have in mind.

Get an Ants Extermination Service Quote

Ants Extermination Quotes

Our Trusted Partners
Cantu Pest Control
Orkin
Hawx Pest Control
Mosquito Shield