Local Service Overview

Get Ants Extermination Service in Farmersville, TX

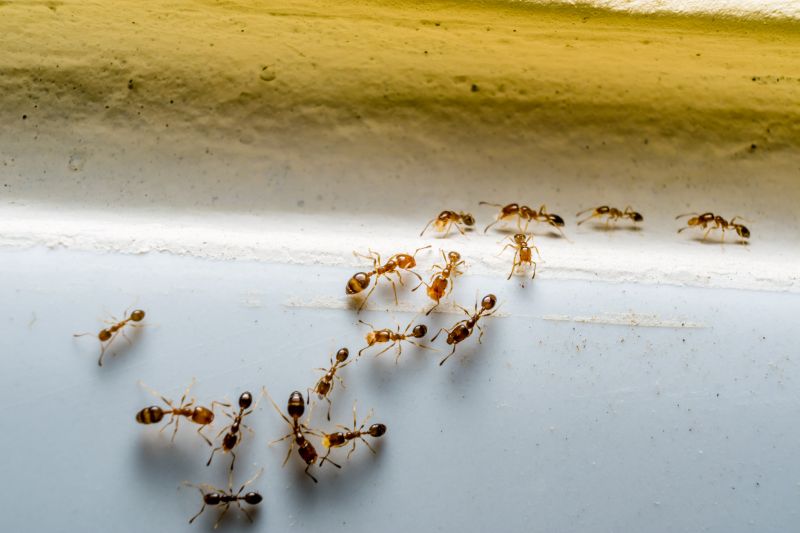
Ants extermination services for Farmersville, TX, and nearby areas address ant infestations, including nests and colonies in homes, yards, and commercial properties.

Farmersville, TX

Ants extermination services provide property owners in Farmersville, TX with effective solutions to manage and eliminate ant infestations. Addressing these pests helps maintain a comfortable living or working environment by preventing the nuisance and potential damage caused by large ant colonies. Proper pest control can also enhance safety by reducing the risk of ants contaminating food supplies or triggering allergies, while preserving the functionality of outdoor and indoor spaces.

Choosing professional ant extermination services offers benefits such as increased durability of pest management efforts, leading to longer-lasting results. Property owners often seek reduced maintenance needs by preventing recurring infestations, which can save time and effort over the long term. Additionally, effective pest control can boost curb appeal by keeping landscapes and entry points free of unsightly ant activity, contributing to a well-maintained appearance for residential and commercial properties alike.

Get Ants Extermination Service Quotes

  • Ants Extermination - Necessary when ants invade kitchens or other indoor spaces in Farmersville, TX and nearby areas.
  • Ants Extermination - Needed if outdoor ant colonies are attracting pests to residential yards in surrounding communities.
  • Ants Extermination - Suitable for addressing ant infestations that threaten food storage or pantry areas.
  • Ants Extermination - Recommended when ants are seen in large numbers near foundations or entry points of homes.
  • Ants Extermination - Essential for preventing future ant problems after initial treatment in residential or commercial properties.

Get Ants Extermination Service Quotes

Ants Extermination Service
Ants Extermination Service
Ants Extermination Service

Ants extermination services involve identifying and eliminating ant infestations within residential, commercial, or industrial properties. Professionals typically conduct thorough inspections to determine the extent of the problem and locate ant colonies. Treatment methods may include the application of targeted insecticides, baiting systems, and barrier treatments designed to eradicate ants and prevent future invasions. These services aim to address both visible ant activity and hidden nests, ensuring a comprehensive approach to pest control.

Ant infestations can cause various issues for property owners, including damage to structures, contamination of food supplies, and general nuisance. Certain ant species, such as carpenter ants, are known to compromise wood structures, leading to costly repairs if not addressed promptly. Additionally, ants can be a source of stress and discomfort, especially when they invade kitchens, pantries, or dining areas. Extermination services help mitigate these problems by effectively reducing ant populations and minimizing the risk of recurring infestations.

Many types of properties utilize ants extermination services, ranging from single-family homes to larger commercial buildings. Residential properties often seek treatment to protect food storage areas and maintain comfort, while businesses such as restaurants, grocery stores, and food manufacturing facilities require pest control to meet health standards. Additionally, property managers of apartment complexes and multi-unit dwellings may contract services to ensure common areas remain ant-free. The need for professional intervention is common in environments where food, moisture, or shelter attract ant colonies.

Local pest control providers specializing in ant extermination typically offer tailored solutions based on the specific property and infestation severity. They may employ a combination of chemical treatments, baiting strategies, and exclusion techniques to effectively control ant populations. Regular inspections and maintenance programs are often recommended to prevent future issues and ensure long-term protection. Contacting experienced professionals ensures that appropriate, targeted measures are taken to resolve ant problems efficiently and safely.

The overview below groups typical Ants Extermination Service projects into broad ranges so you can see how smaller, mid-sized, and larger jobs often compare in Farmersville, TX.

In many markets, a large share of routine jobs stays in the lower and middle ranges, while only a smaller percentage of projects moves into the highest bands when the work is more complex or site conditions are harder than average.

Initial Inspection and Treatment - The cost for an initial ant inspection and treatment typically ranges from $150 to $300. This includes identifying the ant species and applying targeted treatments to affected areas.

Perimeter Barrier Treatments - Applying perimeter barrier treatments around a home usually costs between $100 and $250. The price varies based on property size and the extent of the treatment area.

Ongoing Pest Control Plans - Monthly or quarterly ant control plans generally range from $50 to $150 per visit. These plans often include regular treatments and inspections to prevent future infestations.

Localized Spot Treatments - Spot treatments for specific ant nests or problem areas typically cost between $75 and $200 per session. Prices depend on the size of the infestation and the treatment method used.

Actual totals will depend on details like access to the work area, the scope of the project, and the materials selected, so use these as general starting points rather than exact figures.

Get an Ants Extermination Service Quote

Ants Extermination - local pest control providers offer targeted treatments to eliminate ant infestations in residential and commercial properties. They assess the extent of the ant problem and apply appropriate solutions to prevent future issues.

Ants Prevention - service providers assist with implementing preventive measures to reduce the likelihood of ant invasions, including sealing entry points and advising on sanitation practices. These steps help maintain a pest-free environment.

Ants Inspection - professionals conduct thorough inspections to identify ant nesting sites and entry points, providing a clear understanding of the infestation's scope. Inspection reports help inform effective treatment plans.

Ants Baiting Services - local experts set up bait stations designed to attract and eliminate ants at the source, reducing the colony’s size and preventing further spread. Proper placement and monitoring are key to success.

Ants Treatment Plans - pest control providers develop customized treatment plans based on the specific ant species and infestation severity. These plans combine chemical and non-chemical methods for effective results.

Ants Emergency Services - emergency pest control services are available for urgent ant infestations that require immediate attention to prevent property damage or health concerns. These providers respond promptly to critical situations.

Ants Extermination Service

When comparing local ant extermination service providers, experience is a key factor to consider. Homeowners should look for professionals who have a proven track record in handling ant infestations within their area, such as Farmersville, TX, and surrounding communities. Established service providers often possess extensive knowledge of common ant species and effective treatment methods, which can contribute to more reliable results. It’s beneficial to review how long a contractor has been operating locally and whether they have successfully addressed similar pest issues for other residents in the community.

Clear communication and written expectations are essential when selecting an extermination service. Pros should provide detailed information about their process, the scope of work, and any preparations needed before treatment. Homeowners are encouraged to seek providers who are transparent about what to expect during and after the service, including any follow-up or maintenance recommendations. Having this information in writing helps ensure that both parties share a mutual understanding of the service, reducing potential misunderstandings or surprises.

Reputable references and reliable sources of information can assist in evaluating local ant extermination providers. Potential clients should consider seeking recommendations from neighbors, friends, or local review platforms to gauge the experiences of others. Additionally, verifying that service providers have positive feedback from previous customers can offer insight into their professionalism and quality of work. Good communication, along with solid references, can help homeowners feel more confident in selecting a local contractor who is responsive and dependable, ensuring the pest control process aligns with their needs and expectations.

Get an Ants Extermination Service Quote

Property owners in Farmersville, TX use Ants Extermination Service services for practical projects around their homes and businesses. The sections below highlight everyday jobs and straightforward project options.

Ants Extermination Service
Ants Extermination Service

Ants extermination services are often sought by property owners in Farmersville, TX, facing common household or commercial pest issues. Ants can invade kitchens, pantry areas, and outdoor spaces, creating nuisance and potential contamination concerns. Property owners may look for professional extermination to address persistent ant infestations, especially when DIY methods prove ineffective or temporary.

In addition to immediate pest control needs, local property owners might seek ants extermination services to prevent future invasions and protect the integrity of their structures. Ants can cause damage to wood, wiring, and insulation over time, making professional treatment a preventative measure. Engaging experienced local service providers can help maintain a pest-free environment in homes, restaurants, and other commercial properties.

Get an Ants Extermination Service Quote

How do ant extermination services work? Ant extermination services typically involve inspecting the property to identify ant entry points and nests, then applying targeted treatments to eliminate the colony and prevent future infestations.

Are the treatments safe for pets and children? Many local pros use treatments that are safe when applied correctly; it is recommended to discuss safety concerns with the service provider during contact.

How long does an ant extermination treatment take? The duration of treatment varies depending on the extent of the infestation, but most services are completed within a few hours.

Will I need multiple treatments for ants? Some ant species may require more than one treatment to fully eliminate the colony, especially if the infestation is extensive or persistent.

What should I do before the extermination service? It is usually advised to clear the area around ant entry points and follow any specific instructions provided by the service provider during contact.

Ants Identification and Prevention - Local pest control providers can assess ant activity and recommend effective prevention strategies to reduce future infestations.

Ant Extermination Solutions - Experienced service providers offer targeted treatments to eliminate ant colonies and minimize ongoing issues around residential and commercial properties.

Inspection and Monitoring - Professionals can conduct thorough inspections to identify ant entry points and monitor for signs of new activity, helping to keep infestations under control.

Customized Treatment Plans - Service providers develop tailored approaches based on the specific ant species and property conditions to ensure effective extermination efforts.

Ants Extermination Service

Considering Ants Extermination Service for a property in Farmersville, TX? The sections above highlight common project types, practical options, and details that often shape the scope of work.

When you are ready, use the quote form to share a few details about your project. Local pros can review the basics and respond with options that match what you have in mind.

Get an Ants Extermination Service Quote

Ants Extermination Quotes

Our Trusted Partners
Cantu Pest Control
Orkin
Hawx Pest Control
Mosquito Shield