Why Ant Infestations Keep Returning Without Professional Treatment

Understanding why ant infestations keep returning without professional treatment highlights the importance of skilled local contractors who can identify and eliminate hidden nests and entry points effectively.

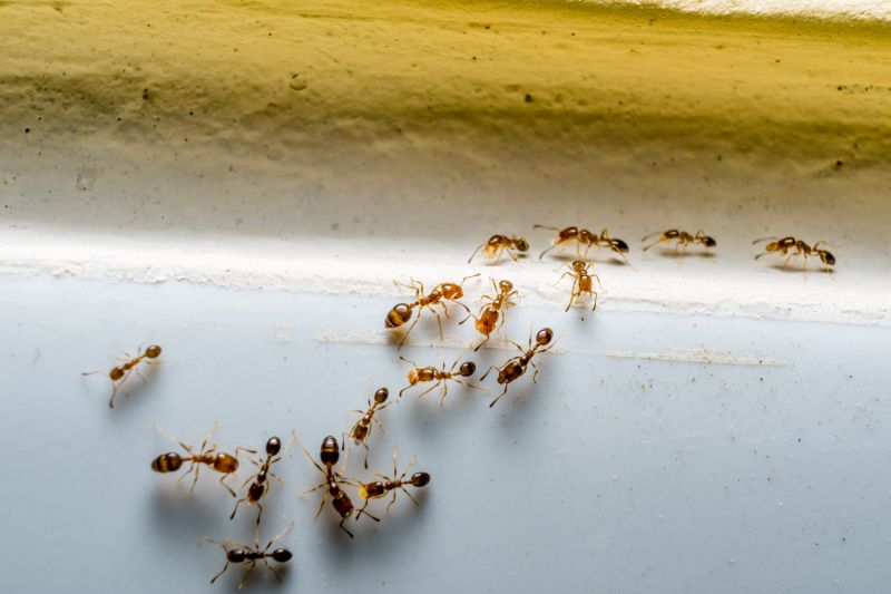
Understanding why ant infestations keep returning without professional treatment can be a common concern for property owners in the area. Ants are persistent pests that often find their way back due to hidden colonies, ongoing food sources, and favorable nesting conditions that are difficult to fully eliminate with DIY methods alone. Many property owners discover that despite repeated attempts to control ants, the problem persists because the underlying causes-such as unseen nests or attractants-remain unaddressed. Exploring this topic can help homeowners and business owners better understand the importance of professional assistance, as local service providers have the experience and tools to identify and treat these hidden issues effectively.

For those dealing with recurring ant problems, connecting with experienced local contractors who specialize in ant infestation control can make a significant difference. These professionals understand the local environment and common ant behaviors, enabling them to develop targeted solutions that go beyond surface treatments. By working with trusted service providers, property owners can gain insights into why ant infestations keep returning and learn about effective strategies to break the cycle. Keep reading to discover practical reasons behind persistent ant issues and how local pros can help manage and prevent future infestations efficiently.

Get Quotes for Ant Infestation Control

  • Ant Nest Removal - When ants establish nests deep within walls or underground, local contractors use targeted treatments to eliminate hidden colonies and prevent recurrence.
  • Barrier Treatment - For persistent ant problems around entry points, local service providers apply barriers to block ants from re-entering the home.
  • Sanitation and Habitat Reduction - In cases where food sources attract ants, local pros recommend sanitation measures to remove attractants and reduce habitat suitability.
  • Monitoring and Ongoing Prevention - To address why ant infestations keep returning, local contractors set up monitoring systems to detect and treat new colonies early.
  • Structural Repairs and Exclusion - When cracks or gaps allow ant entry, local service providers perform repairs and exclusion work to block access points and prevent future invasions.
Why Ant Infestations Keep Returning Without Professional Treatment
Why Ant Infestations Keep Returning Without Professional Treatment
Why Ant Infestations Keep Returning Without Professional Treatment

When people search for why ant infestations keep returning without professional treatment, they are often trying to understand the underlying reasons why ants persist despite their efforts to eliminate them. This topic typically relates to ongoing pest problems that seem resistant to over-the-counter solutions or DIY methods. Homeowners may notice recurring ant activity in kitchens, bathrooms, or around the foundation, leading them to seek explanations for why the problem isn’t going away. The concern is usually about the root causes that allow ants to reappear repeatedly, such as hidden nests or persistent food sources, which simple sprays or bait stations might not fully address.

This issue is closely connected to problems involving the structure and environment of a property. Many homeowners encounter ant infestations in residential homes, especially in areas with easy access to food and water. Commercial properties, such as restaurants or grocery stores, can also face persistent ant problems that impact sanitation and customer perception. The plans related to these issues often include regular cleaning, sealing entry points, and using bait stations; however, without professional intervention, these measures may only provide temporary relief. Understanding why ant infestations return involves recognizing that ants are resilient pests with complex nesting habits that often extend beyond the visible areas of infestation.

Properties most commonly affected by repeated ant problems include single-family homes, multi-unit apartment buildings, and commercial spaces like food service establishments. These properties typically provide favorable conditions for ants-such as accessible food sources, moisture, and entry points-making them prone to ongoing issues. In homes, kitchen cabinets, basements, and wall voids are common nesting sites, while in commercial settings, storage areas and food prep zones can serve as attractants. Local contractors who specialize in ant control are well-equipped to identify these hidden nesting sites and implement targeted treatments that go beyond surface-level solutions, helping to break the cycle of recurring infestations.

Understanding why ant infestations keep returning without professional treatment emphasizes the importance of addressing the problem comprehensively. DIY methods often fail because they do not eliminate the entire colony or nest, which can be located deep inside walls, under foundations, or in outdoor areas. Local service providers can perform detailed inspections to locate these hidden nests and apply professional-grade treatments designed to eradicate the entire colony. By working with local pros, property owners can develop a tailored plan that targets the source of the problem rather than just managing the symptoms. This approach helps prevent future infestations, making professional treatment a key step in achieving long-term relief from persistent ant issues.

Pest Inspection Services - professionals who perform detailed inspections to identify underlying causes of recurring ant infestations and recommend targeted solutions.

Home Repair and Sealing Projects - local contractors skilled in sealing entry points and cracks that ants use to gain access, helping prevent future invasions.

Moisture Control Services - experts who address excess moisture issues that attract ants and contribute to infestations returning without professional treatment.

Landscaping and Exterior Maintenance - service providers who manage yard and outdoor area conditions that can harbor ant colonies close to the home.

Structural Repair Projects - specialists who reinforce foundations and walls to eliminate structural vulnerabilities that pests exploit for nesting.

Sanitation and Debris Removal - local pros who clear clutter and debris around the property that can serve as ant hiding spots or nesting sites.

Why Ant Infestations Keep Returning Without Professional Treatment

When evaluating service providers for ant infestation control, it’s important to consider their experience with similar projects. Local contractors who have a proven track record of handling ant infestations can offer insights into common causes of recurring issues and effective strategies to address them. Asking about their previous work with homes experiencing persistent ant problems can help gauge their familiarity with the specific challenges involved in eliminating and preventing future infestations. This experience often correlates with a better understanding of ant behavior, nesting habits, and the importance of thorough treatment approaches.

Clear, written expectations are essential when comparing local pros for ant infestation control services. A reputable contractor should be able to outline what their treatment plan entails, including the scope of work, the methods used, and any follow-up procedures. Having these details in writing helps ensure there is a mutual understanding of what the service will cover and reduces the chances of misunderstandings or unmet expectations. It also provides a basis for evaluating whether the proposed approach aligns with the homeowner’s concerns about why ant infestations keep returning without professional treatment.

Reputable references and strong communication are key factors to consider when selecting local service providers. Contractors who can provide references from past clients give insight into their reliability and the quality of their work. Good communication throughout the process-being responsive, clear, and transparent-helps homeowners feel confident that their questions and concerns are addressed. This level of professionalism can make a significant difference in the overall experience and effectiveness of the ant control efforts, especially when dealing with ongoing issues that require a comprehensive and coordinated approach.

Get a Quote for Ant Infestation Control

Property owners often search for why ant infestations keep returning without professional treatment when they are planning practical projects around their homes and businesses. Local pros provide Ant Infestation Control services for everyday jobs and straightforward project options.

Why Ant Infestations Keep Returning Without Professional Treatment
Why Ant Infestations Keep Returning Without Professional Treatment

Many property owners find themselves frustrated by ant infestations that seem to reappear despite repeated efforts to eliminate them. Common household activities, such as leaving food crumbs, neglecting to seal entry points, or not maintaining outdoor landscaping, can create inviting conditions for ants to return. Without professional treatment, these small invaders often find new ways inside and establish persistent colonies, making the problem difficult to control over time.

In many cases, homeowners may not realize that ant colonies can extend deep underground or into hidden areas, which simple DIY methods might not reach. Local contractors specializing in ant infestation control have the experience and tools to identify the root causes of recurring problems. By addressing underlying entry points and nesting sites, these service providers can help prevent future invasions and ensure a more effective, long-lasting solution for property owners dealing with persistent ant issues.

Get a Quote for Ant Infestation Control

Why do ant infestations keep returning even after treatment? Ant infestations often return because the colonies are deeply established in hidden areas like soil, walls, or foundations. Local contractors can identify and treat these sources to prevent future invasions.

How can ants keep coming back without professional help? Without professional treatment, ants may find new entry points or access hidden nests, making it difficult to eliminate the entire colony. Local service providers can locate and remove these hidden sources effectively.

What role do outdoor conditions play in recurring ant problems? Outdoor factors like soil moisture, plant debris, or mulch can sustain ant colonies close to the home, leading to repeated invasions. Local pros can assess and treat outdoor areas to reduce these attractants.

Can untreated structural issues cause ants to keep returning? Yes, gaps, cracks, or damaged areas in the structure can serve as entry points and nesting sites for ants. Local contractors can identify and seal these vulnerabilities to help control infestations.

Why is it important to seek professional ant control services? Professionals have the expertise to locate hidden nests and apply targeted treatments, reducing the likelihood of ants returning. Contacting local service providers ensures comprehensive ant infestation control.

Identify nesting sites - property owners can work with local contractors to locate and eliminate ant nests deep within walls or underground to prevent recurring infestations.

Seal entry points - sealing cracks, gaps, and openings around windows, doors, and foundations helps block ants from re-entering the property.

Remove attractants - removing food sources, debris, and standing water from around the home reduces the likelihood of ants returning.

Implement ongoing treatments - professional pest control services can provide regular barrier treatments to maintain long-term protection against ant reinfestation.

Why Ant Infestations Keep Returning Without Professional Treatment

If you are thinking about why ant infestations keep returning without professional treatment for a property, this guide is meant to help you understand this topic, the typical project types, and how different options might fit your plans.

When you are ready, you can use the quote form on this page to share a few details about your project. From there, local pros can review the basics and follow up with options that match what you have in mind.

Get a Quote for Ant Infestation Control

Ant Infestation Control Quotes

Our Trusted Partners
Cantu Pest Control
Orkin
Hawx Pest Control
Mosquito Shield