Local Service Overview

Get Ants Extermination Service in Frisco, TX

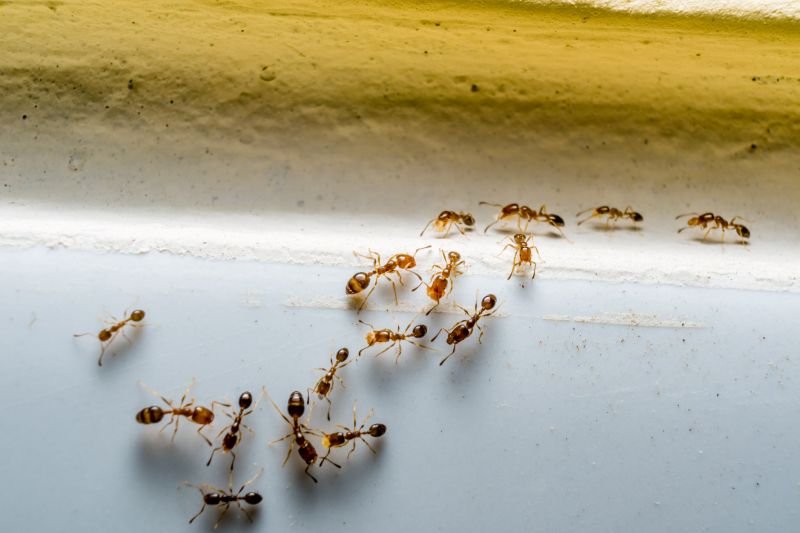
Ants extermination services for property owners in Frisco, TX, and nearby areas address ant infestations, including residential and commercial ant control and prevention projects.

Frisco, TX

Ants extermination services are a practical solution for property owners in Frisco, TX seeking to maintain a comfortable and functional living or working environment. By effectively managing ant populations, these services help prevent infestations that can disrupt daily routines, damage structures, or contaminate food supplies. Addressing ant issues promptly can enhance overall safety and reduce the likelihood of future problems, contributing to a more secure and enjoyable property.

Choosing professional ant extermination can also improve curb appeal and reduce ongoing maintenance efforts. A pest-free property often looks more inviting and well-kept, which can be important for both homeowners and business owners. Additionally, proper extermination methods can increase the durability of structures by preventing damage caused by ants and other pests, supporting long-term property value and ease of upkeep.

Get Ants Extermination Service Quotes

  • Ants Extermination - When ants invade kitchens or pantry areas, professional extermination services can eliminate the colony effectively.
  • Ants Extermination - Homes with persistent ant trails or nests outdoors may require expert treatment to prevent further infestations.
  • Ants Extermination - Businesses experiencing ant problems in storage or food preparation areas might seek specialized pest control solutions.
  • Ants Extermination - Properties with ant activity near foundations or entry points benefit from targeted treatments to block access.
  • Ants Extermination - Residential or commercial properties in nearby areas like Frisco, TX, and surroundings often need ongoing pest management to control ant populations.

Get Ants Extermination Service Quotes

Ants Extermination Service
Ants Extermination Service
Ants Extermination Service

Ants extermination services involve identifying and eliminating ant infestations within residential or commercial properties. Trained service providers typically conduct thorough inspections to locate ant colonies and determine the species involved. Once the source of the infestation is identified, they employ targeted treatment methods, which may include the application of baits, insecticides, or other pest control solutions designed to eradicate ants at their source. The goal is to reduce or eliminate the ant population, preventing further intrusion and damage.

These services help address common problems associated with ant infestations, such as property damage, contamination of food supplies, and general nuisance. Certain ant species, like carpenter ants, can cause structural damage by burrowing into wood, while others, such as odorous house ants, can invade kitchens and pantry areas, contaminating food items. Professional extermination services not only remove existing colonies but also implement preventive measures to reduce the likelihood of future invasions, helping to maintain a clean and pest-free environment.

Properties that frequently utilize ants extermination services include single-family homes, apartment complexes, restaurants, and retail stores. Homes with visible ant trails or signs of nesting often seek professional help to address the problem effectively. Commercial establishments, especially those involved in food service or retail, prioritize pest control to comply with health regulations and ensure customer safety. Additionally, property managers and landlords may regularly schedule pest control services to maintain a pest-free environment across multiple units or buildings.

By contacting local pest control providers for ants extermination services, property owners and residents can access professional solutions tailored to their specific needs. These experts are equipped to handle various infestation levels and ant species, offering targeted treatments that aim to eliminate colonies and prevent re-infestation. Engaging with experienced service providers ensures that properties are treated effectively, helping to restore comfort and hygiene in both residential and commercial spaces.

The overview below groups typical Ants Extermination Service projects into broad ranges so you can see how smaller, mid-sized, and larger jobs often compare in Frisco, TX.

In many markets, a large share of routine jobs stays in the lower and middle ranges, while only a smaller percentage of projects moves into the highest bands when the work is more complex or site conditions are harder than average.

Ants Extermination Cost - The average cost for ant extermination services typically ranges from $150 to $300 per treatment, depending on the severity of the infestation and property size. For larger homes or extensive colonies, prices can reach up to $400 or more. Local service providers can provide estimates based on specific needs.

Inspection Fees - Many pros charge an inspection fee that varies between $50 and $150 to assess ant activity and determine the extent of the problem. Some providers may include the inspection in the overall treatment cost, while others charge separately. Contact local experts for precise quotes.

Recurring Treatments - Ongoing ant control plans may cost between $100 and $250 per visit, with multiple treatments often recommended for persistent infestations. The total cost depends on the number of visits and the size of the property involved. Local service providers can customize plans accordingly.

Additional Services - Extra services such as baiting systems or follow-up visits typically add $75 to $200 per service. These costs vary based on the complexity of the treatment and specific property requirements. Pros can help determine the most suitable options for each situation.

Actual totals will depend on details like access to the work area, the scope of the project, and the materials selected, so use these as general starting points rather than exact figures.

Get an Ants Extermination Service Quote

Ants Extermination services address ant infestations in residential and commercial properties, helping to eliminate colonies and prevent future invasions.

Residential Ant Control focuses on eradicating ants from homes, ensuring a safe and pest-free living environment for families.

Commercial Ant Extermination services are available for businesses seeking to maintain a pest-free workspace and comply with health regulations.

Ant Prevention Treatments involve applying barrier methods and baiting strategies to reduce the likelihood of ant re-infestation over time.

Outdoor Ant Control services target ant colonies outside structures, helping to protect landscaping and outdoor living areas.

Emergency Ant Removal services provide rapid response options for urgent ant infestations in homes or businesses in the local area.

Ants Extermination Service

When choosing a professional for ant extermination services, it’s important to consider their experience in handling similar pest issues. Homeowners should look for local providers with a proven track record in ant control, as this often indicates familiarity with common species and effective treatment methods specific to the area. Reputable references or reviews from previous clients can offer insights into the quality of service and the effectiveness of their treatments, helping homeowners make informed decisions.

Clear communication and well-defined expectations are essential when working with a pest control provider. Pros should be transparent about the scope of work, the methods they use, and any preparations or follow-up steps required. Homeowners are encouraged to seek providers who are willing to answer questions thoroughly and provide detailed information, ensuring there is a mutual understanding of the process and results.

It is also beneficial to evaluate how local service providers establish their reputation within the community. Reliable references or testimonials from other homeowners in Frisco, TX, and nearby areas can help gauge the consistency and professionalism of the pros. Effective communication and a reputation for dependable service are key factors that contribute to a positive experience when selecting a pest control specialist for ant extermination needs.

Get an Ants Extermination Service Quote

Property owners in Frisco, TX use Ants Extermination Service services for practical projects around their homes and businesses. The sections below highlight everyday jobs and straightforward project options.

Ants Extermination Service
Ants Extermination Service

Ants extermination services are often sought by property owners in Frisco, TX, dealing with common household invasions. Ants can enter homes in search of food or water, especially during warmer months, leading to unsightly trails and potential contamination of food supplies. Local service providers are frequently contacted to address these infestations promptly, helping homeowners restore comfort and hygiene to their living spaces.

Additionally, property owners may turn to ant extermination services when they notice persistent ant activity around their yards or foundations. Preventative treatments can help protect structures from future invasions, especially in areas prone to ant activity. Local professionals offer solutions tailored to the specific needs of Frisco residents, aiming to manage existing problems and reduce the likelihood of recurring issues.

Get an Ants Extermination Service Quote

How do ant extermination services work? Ant extermination services typically involve inspecting the property to identify ant activity and nesting sites, followed by targeted treatments using baits, sprays, or dusts to eliminate colonies and prevent future infestations.

Are ant treatments safe for pets and children? Many ant extermination methods are designed to be safe when applied correctly; however, it’s recommended to consult with a local service provider about specific products and safety precautions for households with pets or children.

How long does an ant extermination treatment last? The duration of effectiveness varies depending on the treatment method and the extent of the infestation; a local pest control professional can provide guidance tailored to the specific situation.

Will I need to prepare my home before treatment? Preparation may include cleaning the area, removing food or dishes, and sealing cracks; specific instructions can be provided by the service provider when scheduling the treatment.

Can ant extermination prevent future invasions? Yes, many services include ongoing monitoring and barrier treatments to help reduce the likelihood of future ant problems.

Ants Identification and Inspection - Professionals can assess the extent of an ant infestation and identify the specific species involved to determine the most effective treatment approach.

Targeted Ant Extermination Treatments - Local service providers offer various treatment options to eliminate ants from residential or commercial properties efficiently.

Preventive Ant Control Strategies - Experts can implement measures to reduce the likelihood of future ant invasions through barrier treatments and habitat modification.

Ongoing Monitoring and Maintenance - Regular inspections and follow-up services help maintain ant-free environments and address any new activity promptly.

Ants Extermination Service

Considering Ants Extermination Service for a property in Frisco, TX? The sections above highlight common project types, practical options, and details that often shape the scope of work.

When you are ready, use the quote form to share a few details about your project. Local pros can review the basics and respond with options that match what you have in mind.

Get an Ants Extermination Service Quote

Ants Extermination Quotes

Our Trusted Partners
Cantu Pest Control
Orkin
Hawx Pest Control
Mosquito Shield